![]() |
|||||||
![]() |
|||||||
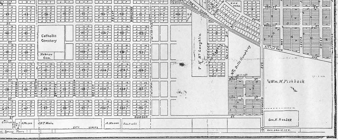
| Section 6 of this 1894 map of Fort Smith illustrates the streets, city limits and layout of the southeast corner of the city at that time. Please take note of the tract owned by William Meade Fishback, a prominent local politician and one-term governor of Arkansas. Today's Adelaide Lane through the same property was named for his wife, Adelaide Miller Fishback. Belle Avenue, a street that runs from Rogers Avenue to Grand Avenue, was named for Belle Humphrey whose land was across Greenwood Avenue from Fishback's. Reeder, who owned a lot near Fishback, also designates a street in the neighborhood today. Dodson Street at the south, bottom edge of the map was named in honor of John Dodson, the leader of 19th century Fort Smith's Irish-American community. | |||||||